Buildable Lot for Less Than $9k
29 Palms, CA
Listing Price
Property Information
State
California
County
San Bernardino
Parcel Number
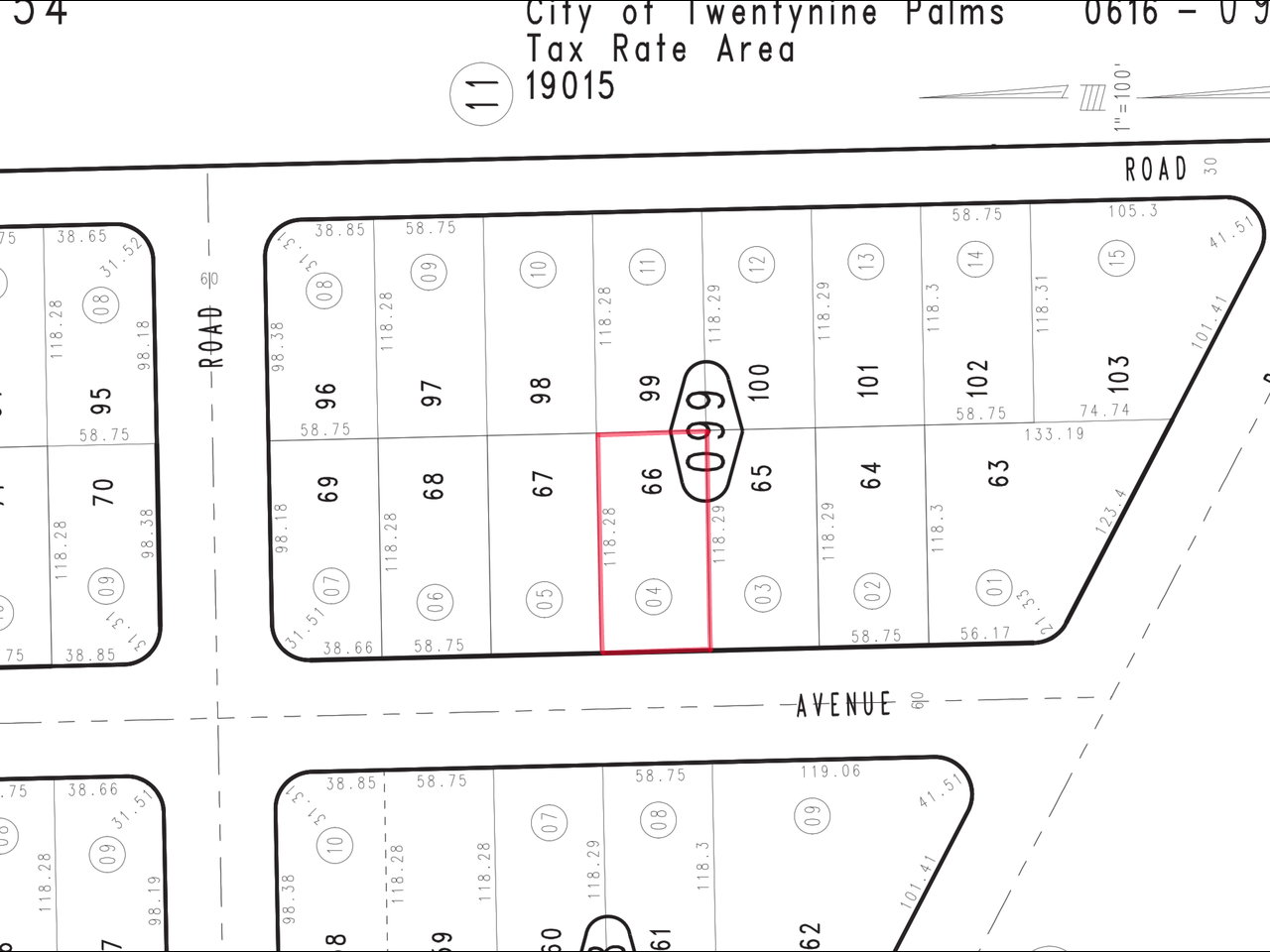
0616-099-04-0000
Address
6669 El Rey Ave., 29 Palms, CA 92277
Parcel Size
0.16 acres
Property Tax
$220.78/year
Property Features
Access
Paved Road
Power
On the Street
Water
Nearby
Sewer
Need Septic Tank
Zoning
RS-4
Topography
Flat
Flood Zone
AO
Title
Clear
Description
***Priced to Sell***Discover this fantastic lot located on a paved road just moments from 29 Palms Highway — offering convenience, accessibility, and endless potential.
Zoned RS-4 (Single-Family Residential – 4 du/ac), this property allows for a single-family home and possibly an Accessory Dwelling Unit (ADU). Power lines run along the back, and other utilities are nearby. A septic system will be needed, which is typical for the area.
Enjoy the serenity of the desert with breathtaking natural beauty all around, while still being close to shops, restaurants, and local attractions. Twentynine Palms has experienced steady growth in recent years, with new businesses opening and the community continuing to thrive.
This is a rare opportunity to build your dream home or investment property in one of the most desirable desert destinations.
Don’t miss your chance — make this blank canvas yours today!
Disclosures
- Boundaries represented in the photos are only an estimation.
- Address is fictitious and has not been assigned by the city.
- Buyer should independently verify all information including boundaries, zoning and utilities etc.
Seller Financing
SELLER FINANCING
Available
DOWN PAYMENT
Min 40%
REPAYMENT TERM
3-10 Years
INTEREST RATE
9.99%
MOST buyers will qualify regardless of credit scores. Once the property is reserved, we will email you a loan application to fill out and can usually finish underwriting within 48 hours.
How to Purchase
It’s as easy as ‘1-2-3’:
Step 1
Click on ‘Reserve Now’ button and we will send you a purchase agreement to e-sign.
Step 2
We open escrow with a title company. You pay a $1,000 deposit and start due diligence.
Step 3
Title company checks the title and works with you to close escrow within 30 days.
Nearby Attractions/Cities
Joshua Tree National Park

Joshua Tree National Park is a breathtaking desert landscape where two distinct ecosystems—the Mojave and the Colorado—meet, creating a one-of-a-kind adventure. Known for its iconic, twisted Joshua trees and dramatic rock formations, the park is a playground for hikers, climbers, stargazers, and nature lovers alike. Visitors can explore winding trails, discover hidden oases, and scramble over massive boulders that seem designed for adventure. By night, the park transforms into one of the best stargazing spots in the country, with dazzling views of the Milky Way. Whether you seek excitement or tranquility, Joshua Tree offers an unforgettable experience.


















